100 Old Fair Grounds Way
Kilmarnock, VA 22482
Rental Rate:
$18.00
Retail:
28,000± SqFt
Contact Brokers
Interested in this property?
Property Information
Description
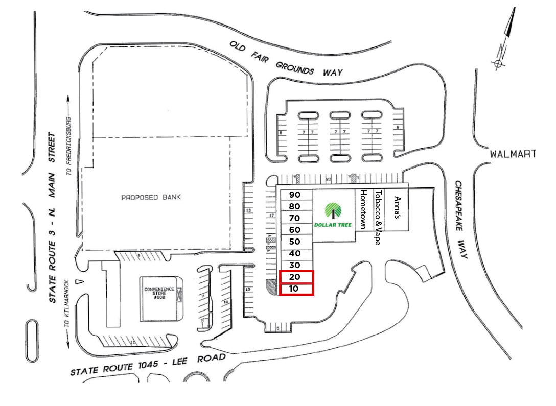
- Excellent location just off Main Street (Route 3) at the entrance to Walmart
- 28,000± SF retail center built in 2007
- Available: 1,200 – 2,700± SF
- Pad site available for ground lease
- Traffic Count: 11,000± VPD – Main Street
- Lease rate: $18.00 per SF
For Lease
-
Suite 20 | 1,500± SF
Rental Rate: $18.00/SqFt
-
Suite 10 | 1,200± SF
Rental Rate: $18.00/SqFt


